SOLD
19 Ladysmith Drive EDMONDSON PARK NSW 2174
- Others
Sold By Prakash Paudel
-
0 Bed
-
0 Bath
-
0 Garage
-
-- m2
(SOLD)
Registered & Ready to build on!
19 Ladysmith Drive EDMONDSON PARK NSW 2174
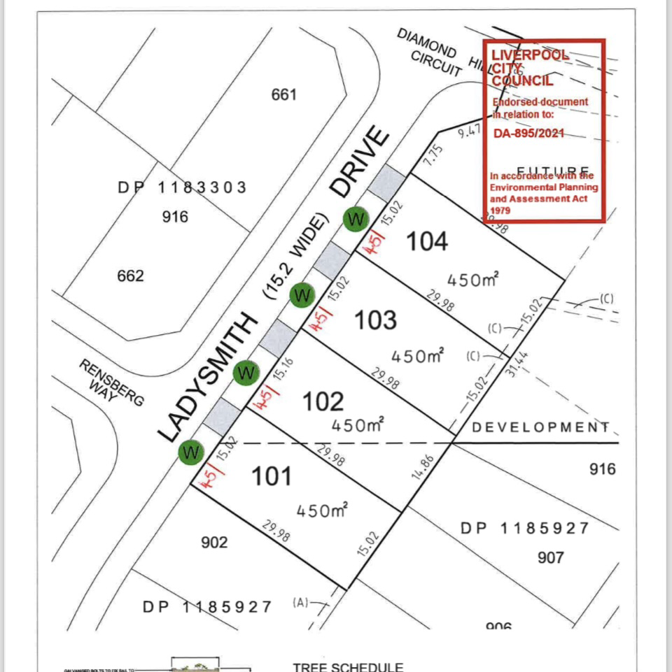
Prakash Paudel from Multi Dynamic is proud to present Lot 102 Ladysmith Drive, Edmondson Park - a registered and ready-to-build 450sqm block in a premium location. Perfectly positioned in a quiet and well-established street, this generous parcel of land offers a 15.02m frontage and 29.98m depth, providing the ideal canvas to design and build your dream home or investment property (STCA). Whether you're looking to create a spacious family residence or a dual-occupancy setup, this block's wide frontage and rectangular shape offer flexibility for a variety of home designs. Located just minutes from Edmondson Park Train Station, Ed. Square Shopping Centre, local parks, schools, and easy access to the M5 and M7 motorways - lifestyle and convenience come together at this prime address. Key Features: • Registered land - ready for immediate construction • 450sqm block with 15.02m frontage x 29.98m depth • Positioned in a sought-after, family-friendly neighbourhood • Close proximity to public transport, shopping, schools, and major roads Opportunities like this are rare - secure your future today in one of South-West Sydney's fastest-growing communities. For more information, contact Prakash Paudel on 0450 928 535. Disclaimer: Multi Dynamic believes that all information contained herein to be true and correct to the best of our ability and in no way misleading, however, all interested parties are requested to do their own research before taking any decision.
Read more
Property details
- 0
- 0
- Sold By Prakash Paudel
- -- m2